русс | укр

Языки программирования

ПаскальСиАссемблерJavaMatlabPhpHtmlJavaScriptCSSC#DelphiТурбо Пролог

Компьютерные сетиСистемное программное обеспечениеИнформационные технологииПрограммирование

Все о программировании


Linux Unix Алгоритмические языки Аналоговые и гибридные вычислительные устройства Архитектура микроконтроллеров Введение в разработку распределенных информационных систем Введение в численные методы Дискретная математика Информационное обслуживание пользователей Информация и моделирование в управлении производством Компьютерная графика Математическое и компьютерное моделирование Моделирование Нейрокомпьютеры Проектирование программ диагностики компьютерных систем и сетей Проектирование системных программ Системы счисления Теория статистики Теория оптимизации Уроки AutoCAD 3D Уроки базы данных Access Уроки Orcad Цифровые автоматы Шпаргалки по компьютеру Шпаргалки по программированию Экспертные системы Элементы теории информации

ПРОЕКЦИИ С ЧИСЛОВЫМИ ОТМЕТКАМИ. КРИВЫЕ ПОВЕРХНОСТИ


Дата добавления: 2013-12-23; просмотров: 1561; Нарушение авторских прав


5.1. ОСНОВНЫЕ ПОНЯТИЯ

По геометрическим признакам все поверхности делят на две группы:

1) геометрически правильные поверхности, образованные по определенному геометрическому закону;

2) геометрически неправильные поверхности, образование которых не связано с геометрическими законами.

К первой группе поверхностей относят цилиндрическую, коническую, сферическую и другие, для точного изображения которых на чертеже требуется совершенно определенный минимум данных.

Поверхности второй группы изображаются только приближенно, причем изображение будет тем точнее, чем больше исходных данных приходится на единицу рассматриваемой поверхности. Ко второй группе наряду с другими относятся и все поверхности топографического порядка.

Поверхности, ограничивающие разного рода геологические тела, являются поверхностями топографического порядка. Однако в решении практических задач геологоразведочного производства эти поверхности часто аппроксимируются близкими по форме геометрически правильными поверхностями: многогранными, цилиндрическими, коническими и др.

5.2. ТОПОГРАФИЧЕСКАЯ ПОВЕРХНОСТЬ И ЕЕ ГЕОМЕТРИЧЕСКИЕ СВОЙСТВА

 

Топографическую поверхность относят к геометрически неправильным поверхностям, так как она не имеет геометрического закона образования. Для характеристики поверхности определяют положение ее характерных точек относительно плоскости проекций.

На рис. 5.1 дан пример плана участка топографической поверхности, на котором показаны проекции ее отдельных точек. Такой план хотя и дает возможность составить представление о форме изображаемой поверхности, однако отличается малой наглядностью. Чтобы придать чертежу большую наглядность и облегчить тем самым его чтение, проекции точек с одинаковыми отметками соединяют плавными кривыми линиями, которые называют горизонталями – изолиниями.



Рис. 5.1

 

Горизонтали топографической поверхности иногда определяют и как линии пересечения этой поверхности с горизонтальными плоскостями, отстоящими друг от друга на одно и то же расстояние (рис. 5.2). Разность отметок у двух смежных горизонталей называют высотой сечения. Изображение топографической поверхности тем точнее, чем меньше разность отметок у двух смежных горизонталей. На топографических планах горизонтали замыкаются в пределах чертежа или вне его. На более крутых склонах поверхности проекции горизонталей сближаются, на пологих – их проекции расходятся.

Рис. 5.2

 

Кратчайшее расстояние между проекциями двух смежных горизонталей на плане называют заложением. На рис. 5.3 через точку А топографической поверхности проведено несколько отрезков прямых: |AB|, |AC| и |AD|. Все они имеют разные углы падения. Наибольший угол падения имеет отрезок |AC|, заложение которого имеет минимальное значение. Очевидно, он и будет являться проекцией линии падения поверхности в данном месте. Проекция этой линии перпендикулярна к касательной n, проведенной через точку C. На рис. 5.4 приводится пример построения проекции линии падения через заданную точку A. Из точки A100 , как из центра, проводят дугу окружности, касающуюся ближайшей горизонтали в точке B90. Точка B90 , лежащая на горизонтали h90 , будет принадлежать линии падения. Из точки B90 проводят дугу, касающуюся следующей горизонтали в точке C80, и т.д. Из чертежа видно, что линией падения топографической поверхности является ломаная линия, каждое звено которой перпендикулярно к горизонтали, проходящей через нижний, имеющий меньшую отметку, конец звена.

Рис. 5.3

 

Рис 5.4

 

 

На рис. 5.5 дан пример построения проекции линии постоянного уклона, соединяющей кратчайшим путем точки A и C топографической поверхности. Проведение такого рода линий связано с проектированием технических сооружений на сильно пересеченном рельефе местности. Задачу решают в следующем порядке:

Рис. 5.5

 

1) через точку A проводят ломанную линию постоянного уклона (AB1C1), заложение l1 которой берут произвольно. Отрезок, соединяющий заданную точку C с построенной точкой C1 , является величиной несходимости точки C1 с точкой C;

2) через точку A проводят несколько ломанных линий (AB2C2), (AB3C3) ..., причем их заложения l2 , l3 берут в сторону уменьшения (увеличения) заложения l1 : l2 < l1 , l3 < l1 и т.д.;

3) строят кривую ошибок. На горизонтальной прямой от точки A откладывают заложения проведенных по поверхности линий: |AB1| = l1, |AB2| = l2, |AB3| = l3 и т.д.

Через точки B1, B2, B3 … проводят вертикальные линии, на которых откладывают величины несходимости точек C1, C2, C3 … |C18C118 | = |B1C1|, |C18C218 | = |B2C2|, |C18C318 | = |B3C3|.

Соединив точки C1, C2, C3 … плавной линией p, отмечают точку B пересечения кривой ошибок с горизонтальной прямой. Отрезок [AB] является заложением l искомой линии.

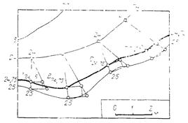
На рис. 5.6 дан пример построения дополнительной горизонтали поверхности с отметкой 24,75 м. Между горизонталями с отметками 24 и 25 м проводят отрезки прямых, на которых методом профиля находят точки с заданной отметкой. Полученные точки A, B, C … соединяют плавной линией.

 

Рис. 5.6

 

В заключение следует заметить, что для построения точки, принадлежащей какой-либо из рассмотренных поверхностей, необходимо построить линию (прямую или кривую), лежащую на этой поверхности, и на ней отметить искомую точку.

 



<== предыдущая лекция | следующая лекция ==>
ПРОЕКЦИИ С ЧИСЛОВЫМИ ОТМЕТКАМИ. МЕТОДЫ ПРЕОБРАЗОВАНИЯ ЧЕРТЕЖА | ПРОЕКЦИИ С ЧИСЛОВЫМИ ОТМЕТКАМИ. ПЕРЕСЕЧЕНИЕ ТОПОГРАФИЧЕСКОЙ ПОВЕРХНОСТИ С ПЛОСКОСТЬЮ И ПРЯМОЙ ЛИНИЕЙ.


Карта сайта Карта сайта укр


Уроки php mysql Программирование

Онлайн система счисления Калькулятор онлайн обычный Инженерный калькулятор онлайн Замена русских букв на английские для вебмастеров Замена русских букв на английские

Аппаратное и программное обеспечение Графика и компьютерная сфера Интегрированная геоинформационная система Интернет Компьютер Комплектующие компьютера Лекции Методы и средства измерений неэлектрических величин Обслуживание компьютерных и периферийных устройств Операционные системы Параллельное программирование Проектирование электронных средств Периферийные устройства Полезные ресурсы для программистов Программы для программистов Статьи для программистов Cтруктура и организация данных


 


Не нашли то, что искали? Google вам в помощь!

 
 

© life-prog.ru При использовании материалов прямая ссылка на сайт обязательна.

Генерация страницы за: 1.252 сек.